Gazeta Si – Pasi shkaktoi dëme dhe shkatërrime të gjera në Xhamajka, uragani “Melissa” arriti në Kubë të mërkurën, duke sjellë shi dhe erëra të forta në ishull.
Fuqia e uraganit është zvogëluar, por ai mbetet ndër më energjikët në dekada, me erëra që arrijnë shpejtësi deri në 300 kilometra në orë në kulmin e tij.
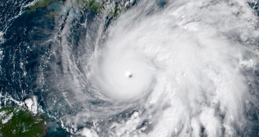
Meteorologët thonë se “Melissa” është një uragan historik, i zhvilluar në një zonë ideale dhe në kohë ideale për një stuhi kaq të fuqishme.
Uraganët formohen kur temperaturat e oqeanit kalojnë 26°C (79°F), siç ndodh shpesh midis qershorit dhe tetorit në detet tropikale pranë ekuatorit.
Ajri i ngrohtë dhe i lagësht ngrihet lart, duke lënë një boshllëk poshtë tij që mbushet nga ajri përreth më i freskët dhe më i thatë.
Kjo krijon një vorbull resh që vazhdon të rritet vertikalisht derisa të kalojë troposferën, pjesën e atmosferës në të cilën jetojmë dhe ku formohen retë, duke arritur tropopauzën (një zonë tranzicioni midis troposferës dhe stratosferës).

Në tropopauzë, kushtet e temperaturës dhe presionit parandalojnë që lëvizjet vertikale të vazhdojnë të rriten, duke i detyruar ato të zgjerohen anash, ashtu si një kovë me ujë e hedhur në një mur.
Ky zgjerim anësor bën që diametri i uraganit të vazhdojë të rritet dhe ç’rregullimi atmosferik të grumbullojë energji të mëtejshme.
Për shkak të rrotullimit të Tokës dhe rrymave të ajrit, ç”regullimi atmosferik i madh përdridhet rreth vetes, duke marrë formën klasike spirale të parë në fotografitë ajrore dhe satelitore.
Tropopauza nuk është gjithmonë në të njëjtën lartësi, sepse shtresat atmosferike nuk janë të shpërndara në mënyrë të barabartë në të gjithë Tokën.
Në tropikë, ajri është mesatarisht më i ngrohtë dhe për këtë arsye troposfera zgjerohet më lart, duke e shtyrë tropopauzën më lart.
Në ekuator, tropopauza mund të arrijë një lartësi prej 16-18 kilometrash, ndërsa në gjerësi të mesme si e jona, zakonisht është rreth 10-12 kilometra. Sa më e lartë të jetë tropopauza, aq më shumë ka të ngjarë të zhvillohen uragane të mëdha dhe të forta.
Në këtë video (poshtë), të xhiruar në një aeroplan të Forcave Ajrore Amerikane që fluturoi përmes uraganit, mund të shihet qartë pjesa ku retë ndalojnë së rrituri vertikalisht dhe zgjerohen horizontalisht, për shkak të tropopauzës.
This footage from inside the eye of Hurricane Melissa might be the most jaw-dropping video ever captured of a hurricane’s eye, showcasing the infamous “stadium effect."
— Earth (@earthcurated) October 28, 2025
pic.twitter.com/0w8EaYwivv
Ky zgjerim kontribuon në të ashtuquajturin “efekt stadiumi”, në të cilin retë duken si tribunat e një stadiumi.
“Melissa” u formua mbi pjesën më të ngrohtë të Atlantikut në këtë kohë, për shkak të akumulimit të nxehtësisë gjatë muajve të verës në rajonin e Karaibeve.
Javën e kaluar, disa sonda nënujore të lidhura me shama sipërfaqësore, regjistruan një temperaturë oqeanike prej 30°C, rreth 2-3°C mbi mesataren, madje edhe në thellësi.
Prandaj, këto kushte ishin ideale për gjenerimin e rrymave të ajrit të ngrohtë dhe të lagësht drejt atmosferës së sipërme.
Zakonisht, fazat e hershme të formimit të uraganëve kontribuojnë në një oqean shumë të trazuar, duke sjellë ujë më të ftohtë në sipërfaqe që dobëson stuhinë duke zvogëluar fluksin e ajrit të ngrohtë që e ushqen atë.
Në rastin e “Melissa”-s, uji ishte i ngrohtë edhe në thellësi të mëdha dhe kjo i lejoi atij të vazhdonte të rritej për një kohë të gjatë, veçanërisht gjatë fazës në të cilën ç’rregullimi atmosferik lëvizte shumë ngadalë.

Faza e intensifikimit, procesi me të cilin rritet fuqia e një uragani, ishte e shpejtë, me shpejtësi të erës që u rrit me mbi 50 kilometra në orë në vetëm 24 orë te “Melissa”.
“Melissa” gjithashtu mbeti shumë energjike për më gjatë se sa është tipike për uraganët, të cilët humbasin fuqinë ndërsa largohen nga ekuatori, duke arritur në zona ku tropopauza është më e ulët.
Kalimi i uraganit mbi tokë gjithashtu kontribuon në rënien e tij, pasi sasia e ajrit të ngrohtë nga oqeani, i cili ushqen stuhinë, zvogëlohet.
Megjithatë, “Melissa” ishte aq energjike sa kaloi pothuajse e paprekur mbi Xhamajkë, duke e mbajtur pjesën më të madhe të energjisë së saj tani të drejtuar drejt Kubës.
Do të duhen muaj analizash të të dhënave të mbledhura ditët e fundit për të kuptuar shkallën e plotë të “Melissa”-s, mënyrën e formimit të saj dhe kontributin e mundshëm të ngrohjes globale në këtë fenomen.
Matjet dhe analizat e kaluara të temperaturave të oqeanit dhe atmosferës, tregojnë se temperaturat mesatare janë rritur ndjeshëm në dekadat e fundit, duke e bërë më të mundshëm formimin e uraganëve të fuqishëm.
Përshtati: Gazeta “Si”
Copyright © Gazeta “Si”
Të gjitha të drejtat e këtij materiali janë pronë ekskluzive dhe e patjetërsueshme e Gazetës “Si”, sipas Ligjit Nr.35/2016 “Për të drejtat e autorit dhe të drejtat e tjera të lidhura me to”. Ndalohet kategorikisht kopjimi, publikimi, shpërndarja, tjetërsimi etj, pa autorizimin e Gazetës “Si”, në të kundërt çdo shkelës do mbajë përgjegjësi sipas nenit 179 të Ligjit 35/2016.
.png)



